Schlagzeilen Haringsee

Schlagzeilen - die Themen... veröffentlicht
Brandaktuelles | Heizkostenzuschuss, Vermietung Gemeindehaus in Haringsee, Radlreparaturtag, gratis Komposterde2026/03/09
Schlagzeilen | Strafregisterbescheinigung, Glascontainer, Gelber Sack,  Abfallwirtschaft Gebühren, GVU, Hundeabgabe, Parken auf Grünstreifen,  Friedhofsverwaltung, Müll aus dem Auto, Hundefreie Zonen, 50 Km/H im Ortsgebiet, Schneeräumung Streupflicht2015/01/01
Meldung vom Landeskriminalamt Niederösterreich – Kriminalprävention - Polizeitrick, Medizintrick, Computertrick2026/03/08
Mitgliederversammlungen der Freiwilligen Feuerwehren2026/01/19
Krisensichere Gemeinde2024
Babytreff2026/01/07
Marchfeld mobil2020
Gebrauchsabgabe2020
Fett-BehÖLter für Altspeiseöl und -fett 2026/03/06
Baumkataster2024
Mobilitätsgemeinde2024
Urnenwand Umfrage Ergebnis2025/12/04
Musikschule Orth/D Wettbewerb "prima la musica"2026/03/09
Trinkwasserversorgung2026/03/10
Bauplätze2022
Klimabündnis-Gemeinde2025/11/14
Musikunterricht2019/09/01
Essen auf Rädern2015
Sperrmüll leicht entsorgen - GVU neue Regeln ab Jänner 20262025/12/04
Gelber Sack in Fuchsenbigl2025/06/12
Region Marchfeld WhatsApp-Kanal2026/03/07
Information der Jägerschaft2026/03/07
Nahversorgung in Haringsee2026/03/11
Es werden Einträge angezeigt (Von insgesamt Einträge gefiltert)

Strafregisterbescheinigung 

 Der Strafregisterauszug ist direkt am Gemeindeamt erhältlich.
Dazu wird ein schriftlicher Antrag (liegt am Gemeindeamt auf) sowie die Vorlage des Reisepasses (ev. Führerschein) benötigt. Es fallen Gebühren in der Höhe von€ 30,70 bzw.€ 16,40 an.  

ABFALLWIRTSCHAFTSGEBÜHREN 

 Aufgrund einiger organisatorischen Änderung beim G.V.U. Bezirk Gänserndorf hat der G.V.U. Vorstand neue Fälligkeiten der Abfallwirtschaftsgebühren beschlossen.
Ab 1. Jänner 2017 werden somit die Abfallwirtschaftsgebühren vom G.V.U. bereits einen Monat früher, also am 15. Februar und am 15. August, vorgeschrieben. 
Sollten Sie einen Einziehungsauftrag erteilt haben, beachten Sie bitte die neuen Fälligkeitstermine und geben Sie die Änderungen bei Ihrem Bankinstitut bekannt.  
An der Höhe der Abfallwirtschaftsgebühren ändert sich nichts, diese wurden seit nunmehr 12 Jahren nicht erhöht. 

BAUAMT

Aufgrund der gesetzlichen Lage wird empfohlen, sämtliche bauliche Vorhaben im Vorhinein am Gemeindeamt zu besprechen. 
Leider kommt es immer wieder vor, dass bereits durchgeführte Umbauten, Zubauten bzw. Neubauten im Nachhinein bewertet werden und dann neuerlich abgeändert werden müssen. Da dies dann immer mit Kosten und auch mit viel Ärger seitens der Bauwerber verbunden ist, ersuchen wir dringend um vorherige Abklärung am Gemeindeamt.

Hundefreie Zonen

Wir weisen darauf hin, dass es nicht gestattet ist Hunde auf die Friedhöfe mitzunehmen – ausgenommen Blindenhunde. Leider kommt es immer wieder zu Beschwerden wegen verunreinigter Gräber. Bitte beachten Sie auch, dass die Spielplätze ebenso hundefreie Zonen sind und im gesamten Gemeindegebiet an öffentlichen Orten eine Leinenpflicht gilt.

Glascontainerplatz ist keine Mülldeponie

Nachdem es leider wieder vermehrt zu Müllablagerungen bei den Glascontainerplätzen gekommen ist, werden diese zukünftig mehr überwacht. Wir ersuchen Sie die Glascontainer ausschließlich für die Entsorgung von Weiss- oder Buntglas zu benützen.
Außerdem gibt es Gemeindebürgerinnen und Gemeindebürger, die mit Vorliebe am Sonntag die Flaschen lautstark entsorgen - gefühlt werden die Objekte aus einem Meter Entfernung in die Container befördert!

ACHTUNG: WICHTIGE MITTEILUNG VOM GVU

Mineralwolle und StyroDUR (XPS) darf in Altstoffsammelzentren nicht mehr übernommen werden. 

Parken auf Grünstreifen

Wir weisen darauf hin, dass Grünflächen nicht zum Parken zur Verfügung stehen.  
Der Rasen leidet darunter und die Pflege der Grünflächen wird erschwert oder kann gar nicht von den Gemeindearbeitern durchgeführt werden. 
Außerdem ersuchen wir um Mithilfe bei der Pflege der Grünflächen vor Ihrer Liegenschaft. 
Herzlichen Dank!

 LÄRMBELÄSTIGUNG

Aus Rücksicht auf Ihre Nachbarschaft ersuchen wir darauf zu achten, Ihren Rasen wegen der Lärmbelästigung nicht während der Mittagszeit oder an Sonn- und Feiertagen zu mähen. Wir bitten weiterhin um intensiven Zusammenhalt innerhalb unserer Dorfgemeinschaft.

50 km/H im Ortsgebiet

Bitte beachten Sie die Geschwidigkeitsbeschränkungen im Ortsgebiet!

Leider sind wir am Gemeindeamt immer wieder mit Beschwerden wegen Schnellfahrens konfrontiert.

Gelber Sack

Jeder Haushalt, der eine Restmülltonne beim GVU bezahlt, hat Anspruch auf Gelbe Säcke.
Die Gelben Säcke dürfen nur verwendet werden für:
Kunststoffflaschen
Metallverpackungen wie Dosen, Metalltuben, -deckel und Schraubverschlüsse
Getränkekartons wie z.B. Milch- und Saftpackerl

Die Gelben Säcke erhalten Sie am Gemeindeamt, beim OV Josef Schreiner in Fuchsenbigl und bei OV Helene Nikowitsch in Straudorf.

Hundeabgabe

Die jährliche Hundeabgabe (ab einem Alter von drei Monaten) wird Ende Jänner vom Gemeindeamt vorgeschrieben: 

Nutzhunde (Diensthunde, etc.): € 6,54 
Hunde mit Gefährdungspotenzial: € 100,--Alle übrigen Hunde: € 30,-- 

Die alten Hundemarken behalten ihre Gültigkeit. Jeder Hundehalter ist verpflichtet, die Haltung seiner Hunde ohne Aufforderung am Gemeindeamt zu melden. Bitte melden Sie auch das Ableben Ihres Hundes sowie einen Wohnortwechsel.  
FRIEDHOFSVERWALTUNG 

Bei Errichtung einer neuen Grabstelle bzw. bei Renovierungen an Grabsteinen, wie Grabeinfassungen oder Grabdeckel, sind diese bitte im Vorhinein am Gemeindeamt zu melden. 

Müll aus dem Auto? Das kann teuer werden!

Leider konnte in letzter Zeit vermehrt Müll auf den Feldern neben Straßen rund um unsere Gemeinde bemerkt werden. Beachten Sie, dass es strengstens verboten ist Müll aus dem Auto zu werfen und mit Bußgeldern bis zu 1.000 Euro bestraft werden kann!

SCHNEERÄUMUNG & STREUPFLICHT

Bei beidseitigem Parken ist eine Schneeräumung in unserer Gemeinde unmöglich! Dadurch wird auch für Sie das Befahren der Straße erschwert! Vielen Dank für Ihr Verständnis! Weitere Informationen bzgl. Räum- und Streupflicht finden Sie hier...


Brandaktuelles

Heizkostenzuschuss 2025/2026

Anträge können pro Heizperiode ab 22. Oktober 2025 bis spätestens 31. März 2026 samt den erforderlichen Nachweisen bei der NÖ Hauptwohnsitzgemeinde gestellt werden.


Zusätzlich wurde auf Antrag von Herrn Bgm. Roman Sigmund in der Sitzung vom 23Oktober 2025 vom Gemeinderat ein Heizkostenzuschuss von € 150,00 seitens der Gemeinde nach denselben Richtlinien des Amtes der NÖ Landesregierung beschlossen. Dieser Betrag wird zusätzlich zum Heizkostenzuschuss des Landes NÖ gewährt


Vermietung Gemeindehaus

2286 Haringsee, Hauptstraße 56

Bei Interesse bitte am Gemeindeamt melden!

Radlreparaturtag (kostenloser Fahrradcheck)

am 11. April 2026 von 8:00 bis 13:00 Uhr
in Fuchsenbigl, Birkenallee 8.

Auch heuer wird wieder die „Gratis-Komposterdenaktion“ der GVU Hohenruppersdorf  angeboten.

Im Altstoffsammelzentrum (Areal der Bauschuttdeponie) können sich die Bürgerinnen und Bürger im April 2026 gratis Komposterde abholen.

Diese Menge ist mit 1 m³ pro Woche und Haushalt begrenzt. Die Bürger müssen die Komposterde selbst in das mitgebrachte Gebinde hineinschaufeln.

Die Kosten werden vom G.V.U. übernommen.


Nahversorgung (Stand März 2026)

Bei den derzeit laufenden Gemeindeprojekten kann ich Ihnen über den Stand betreffend Nahversorger berichten, dass sämtliche Arbeiten zur Sanierung der hierfür vorgesehenen Örtlichkeit bereits vergeben wurden.

Ihr Bürgermeister Roman Sigmund. 

Und hier gibt's einen Link zur Region Marchfeld zu diesem Thema...


Infos aus der Region Marchfeld - direkt auf's Handy

Das Regionalbüro Marchfeld erweitert seine Kommunikationskanäle und ist ab sofort auch mit einem eigenen WhatsApp-Kanal vertreten.

Ziel ist es, aktuelle Informationen aus der Region kompakt, übersichtlich und direkt zugänglich zu machen.

Über den WhatsApp-Kanal werden regelmäßig Neuigkeiten aus der Arbeit des Regionalbüros geteilt.

Dazu zählen Informationen zu regionalen Themen und Veranstaltungen aus allen 23 Marchfeldgemeinden, Hinweise zu Projektaufrufen und Fördermöglichkeiten, Updates aus der Klima- und Energie-Modellregion (KEM) Marchfeld, Beiträge zu LEADER- und Interreg-Projekten sowie Neuigkeiten aus dem Weinviertel.


Der Kanal richtet sich an die Bevölkerung der Region Marchfeld ebenso wie an Gemeindemitarbeiterinnen und Gemeindemitarbeiter , Bürgermeisterinnen und Bürgermeister sowie Interessensvertretungen, die sich laufend über regionale Entwicklungen informieren möchten.

Jetzt abonnieren:

https://whatsapp.com/channel/0029VbCLKTZ2P59mdJvpKE29

oder QR-Code scannen.


Landeskriminalamt Niederösterreich
Kriminalprävention

Tel.: 059 133 - 30 – 3333
Mail: lpk-n-lka-praevention@polizei.gv.at

Polizeitrick
Medizintrick
Computertrick


Achtung Polizeitrick

 Kriminelle versuchen derzeit wieder vermehrt mit dem sogenannten „Polizeitrick“ gutgläubige Mitbürgerinnen und Mitbürger um ihr Erspartes zu bringen. Zu diesem Zweck kontaktieren sie ihre Opfer via Telefon, oftmals mit einer gefälschten Nummer der Polizei (059133), und geben sich als Polizisten aus. In den letzten Wochen wurde eine große Anzahl von derartigen Betrugsversuchen festgestellt. Die Täter sprechen sehr oft hochdeutsch und geben an, dass ein naher Angehöriger einen Verkehrsunfall verursacht habe. Die aufgrund dessen drohende Haftstrafe könne nur durch Bezahlung einer sehr hohen Geldsumme verhindert werden. Die Polizei ersucht daher, auf solche Kontaktversuche nicht einzugehen, diese sofortabzubrechen und der Polizei zu melden. Grundsätzlich gilt es, unbekannten Personen ein gesundes Misstrauen entgegenzubringen und die entsprechenden Forderungen keinesfalls zu erfüllen.

W i e   k ö n n e n   S i e   s i c h   s c h ü t z e n?

Lassen Sie sich von der möglicherweise am Display ihres Telefons aufscheinenden Nummer der Polizei nicht verunsichern.

Ein derartiges Angebot, sich von einer Haftstrafe “freizukaufen“, würde die richtige Polizei niemals machen.

Lassen Sie sich auf keine Diskussionen ein und machen Sie Ihrem Gegenüber entschieden klar, dass Sie auf keine der Forderungen/Angebote eingehen werden.

Legen Sie umgehend auf, wählen Sie den Notruf 133 und verständigen Sie die richtige Polizei.

Achtung Medizintrick

Kriminelle versuchen derzeit wieder vermehrt mit dem sogenannten „Medizintrick“ gutgläubige Mitbürgerinnen und Mitbürger um ihr Erspartes zu bringen. Zu diesem Zweck kontaktieren sie ihre Opfer via Telefon und geben sich als Ärzte bzw. Mitarbeiter diverser Kliniken aus. Den Opfern wird anschließend, entgegen den Tatsachen mitgeteilt, dass sich ein naher Familienangehöriger in einem Krankenhaus befindet und eine tödliche Krankheit diagnostiziert worden sei. Zur weiteren Behandlung und um den Tod des Angehörigen zu verhindern, sei ein sehr teures Medikament erforderlich. Die Bezahlung des Medikaments müsse nun schnellstmöglich erfolgen und soll an einen Kurier der Klinik übergeben werden. In den letzten Wochen wurde eine große Anzahl von derartigen Betrugsversuchen festgestellt. Die Polizei ersucht daher, auf solche Kontaktversuche nicht einzugehen, diese sofortabzubrechen und der Polizei zu melden. Grundsätzlich gilt es, unbekannten Personen ein gesundes Misstrauen entgegenzubringen und die entsprechenden Forderungen keinesfalls zu erfüllen.

W i e   k ö n n e n   S i e   s i c h   s c h ü t z e n?

Lassen Sie sich von dieser Form des Schockanrufes nicht aus der Ruhe bringen und kontaktieren Sie den betreffenden Angehörigen.

Eine Klinik würde niemals einen Kurier beauftragen Bargeld bei Ihnen abzuholen.

Lassen Sie sich auf keine Diskussionen ein und machen Sie Ihrem Gegenüber entschieden klar, dass Sie auf keine der Forderungen/Angebote eingehen werden.

Legen Sie umgehend auf, wählen Sie den Notruf 133 und verständigen Sie die Polizei.

Achtung Computertrick

Kriminelle Computerhilfe, oft als Tech Support Scam bekannt, ist eine Betrugsmasche, bei der Täter sich als IT-Support (z. B. Microsoft) ausgeben, um per Fernwartung (TeamViewer) Zugriff auf Rechner zu erhalten, Daten zu stehlen oder Geld zu erpressen. Sofortmaßnahmen: Internet trennen, Passwörter ändern, Fernwartung löschen, Bank informieren und Anzeige erstatten.

T y p i s c h e   M a s c h e n   u n d   A n z e i c h e n:

Anrufe/Popups: Unaufgeforderte Anrufe oder Browser-Warnmeldungen, die behaupten, der Computer sei infiziert.

Fernzugriff: Täter fordern Opfer auf, Fernwartungssoftware zu installieren, um Zugriff auf den PC zu bekommen.

Zahlungsaufforderung: Forderung von Geld für angebliche Reparaturen, oft in Form von Geschenkkarten (Gift Cards).

Schadsoftware: Oft wird durch die "Hilfe" Schadsoftware (Malware) installiert, um Daten zu stehlen oder das System zu verschlüsseln.

S c h u t z m a ß n a h m e n:

Niemals Fremden Zugriff auf den eigenen Computer gewähren.

Offizielle Support-Mitarbeiter rufen niemals unaufgefordert an.

Browser-Warnmeldungen schließen und ignorieren.

Regelmäßige Sicherheitsupdates und Antivirenprogramme nutzen.

S o f o r t h i l f e   b e i   B e t r u g:

Sofort die Internetverbindung trennen.

Ihren IT-Betreuer kontaktieren.

Fernwartungsprogramm deinstallieren.

Von einem anderen Gerät aus Passwörter (Banking, E-Mail) ändern.

Bank/Kreditkartenanbieter kontaktieren, um Zahlungen zu stoppen.

Anzeige bei der Polizei (133) erstatten.

In Niederösterreich bietet die Landespolizeidirektion unter +43 (5) 9133 30 3333 erste Beratung und Hilfe an.


Information der Jägerschaft - Jungwild bitte nicht anfassen!

Immer öfter werden Wildtierkinder zu Waisen, weil Menschen ihnen zu nahekommen. Aus diesem Anlass warnt die heimische Jägerschaft: Vorsicht vor vermeintlich verwaisten Wildtieren!
Die Natur gleicht bald einer großen Kinderstube. Viele Wildtiere bringen in der sogenannten Brut- und Setzzeit, ihren Nachwuchs zur Welt. Daher die Bitte an alle Naturnutzer und Hundehalter um erhöhte Rücksichtnahme. Leider kommt es immer wieder vor, dass Wildtierkinder berührt oder gar aus Mitleid mitgenommen werden. Diese falsch verstandene Tierliebe macht Wildtiere dann tatsächlich zu Waisen und führt schlimmstenfalls sogar zum Tod. Haftet menschlicher Geruch am Nachwuchs verstoßen Ricke oder Häsin ihr Junges und es muss unweigerlich verhungern.
Zum Schutz vor natürlichen Fressfeinden werden Rehkitz, Junghase und Co. in den ersten Lebenswochen von ihren Müttern im hohen Gras oder am Waldrand abgelegt und nur zum Säugen aufgesucht. Die Jungen haben noch keinen Eigengeruch und sind dank ihrer Färbung gut getarnt. Droht Gefahr, flüchten sie nicht, sondern ducken sich instinktiv. Ein angeborener Schutzreflex vor Fressfeinden, der Rehkitz oder Junghase dann zum Verhängnis wird, wenn Menschen sie mit bloßen Händen anfassen. Nur ein verletztes oder nachweislich verwaistes Tier ist wirklich hilfebedürftig. Im Zweifelsfall sollten Tierfreunde einen ortsansässigen Jäger kontaktieren, der den Zustand des Jungtieres genau einschätzen kann Freilaufenden Hunden sind Wildtierkinder in der Brut- und Aufzuchtzeit schutzlos ausgeliefert. Selbst wenn der Hund gut hört, reicht eine Sekunde Unaufmerksamkeit und der Vierbeiner hat ein Rehkitz oder einen Junghasen entdeckt und packt diesen instinktiv.
Die heimische Jägerschaft appelliert daher an alle Hundebesitzer in der kommenden Brut- und Setzzeit die Wege nicht zu verlassen und ihre Lieblinge an der Leine zu führen.
VIELEN DANK! 


Mitgliederversammlungen der Freiwilligen Feuerwehren im Jänner 2026

Die diesjährigen Mitgliederversammlungen der Freiwilligen Feuerwehren unserer Gemeinde standen unter dem Zeichen der Neuwahl.

Wahlergebnisse:
FF-Haringsee: FF-Kommandant Andreas Hlavac-Jäger,
FF-Kommandant Stv. DI Christian Krall.
FF-Fuchsenbigl: FF-Kommandant Hannes Plank,
FF-Kommandant Stv. Stephan Weiss.
FF-Straudorf: FF-Kommandant Christian Macher,
FF-Kommandant Stv. Herbert Tuitz.

Ich bedanke mich bei allen Feuerwehren für die Organisation dieser Neuwahlen. Gleichzeitig bedanke ich mich bei den bestätigten bzw. neugewählten Kommandanten für die Bereitschaft, die immer größer werdende Verantwortung für die jeweilige Wehr in der kommenden Periode zu übernehmen. Ich wünsche allen Wehren der GG-Haringsee alles Gute sowie unfallfreie Übungen und Einsätze. Gut Wehr - Euer Bürgermeister Roman Sigmund.


Urnenwand Umfrage Ergebnis

Für Haringsee: 5 Interessensbekundungen
Für Fuchsenbigl: 2 Interessensbekundungen
Für Straudorf: 0 Interessensbekundungen

Trotz dieser geringen Anzahl an Rückmeldungen wird Bürgermeister Roman Sigmund mit den
Interessenten bei einem Termin die Möglichkeiten einer Umsetzung besprechen. Hierzu
werden Einladungen übermittelt


Entnahmestelle für Gelben Sack in Fuchsenbigl


Bürgerfreundlicher Service vor dem Haus von OV Josef Schreiner

Nach Amtsbeginn eröffnet OV Josef Schreiner eine Entnahmestelle für den Gelben Sack. Diese befindet sich vor dem Wohnhaus von Ortsvorsteher Josef Schreiner in Fuchsenbigl und ist frei zugänglich. Die Initiative soll eine einfache Möglichkeit bieten um den Zugang zu erleichtern.


Hohe Auszeichnung für unsere Gemeinde - Verleihung Zertifikat "Krisensichere Gemeinde"

Im Rahmen einer Veranstaltung im Feuerwehr- und Sicherheitszentrums Tulln durfte ich gemeinsam mit Alfons Weiss eine hohe Auszeichnung der NÖ-Landesregierung und des NÖ-Zivilschutzverbandes entgegennehmen.
Über die Parteigrenzen der Landesregierung hinweg wurde – neben 18 anderen Gemeinden in NÖ – auch unsere Gemeinde von LH Stv. Stefan Pernkopf (ÖVP), LR Christoph Luisser (FPÖ) und dem Präsidenten des NÖZV Christoph Kainz als „Krisensichere Gemeinde“ ausgezeichnet.

Aus dem Bezirk Gänserndorf wurden neben unserer Gemeinde 3 weitere Gemeinden mit dieser Auszeichnung geehrt (Gänserndorf, Orth an der Donau und Weiden an der March). „Krisensichere Gemeinde“ bedeutet, dass in diesen Gemeinden durch Katastrophenschutz-, Sonderalarmpläne, etc. Vorsorge getroffen wurde um im Anlassfall gerüstet zu sein.

Lieber Ali, vielen Dank für die letzten Jahre der diesbezüglichen intensiven Zusammenarbeit! Ich glaube behaupten zu können, dass es nicht unser Ziel war Auszeichnungen zu erreichen, sondern den Menschen in unserer Gemeinde ein Gefühl der Sicherheit zu geben, dass man für Krisen bestmöglich gerüstet ist.

Bürgermeister Roman Sigmund


Fett-BehÖLter für Altspeiseöl und-fett

Zusätzliches Sammelsystem erleichtert die Entsorgung

Damit die Entsorgung von Altspeiseöl und-fett noch einfacher und jederzeit möglich ist, werden seit Mitte Februar in Kooperation mit der Firma Münzer in allen G.V.U.-Verbandsgemeinden Fett-BehÖLter aufgestellt. Die neuen Fett-BehÖLter ergänzen die bestehende NÖLI-Sammlung in den Altstoffsammelzentren und im Wertstoffzentrum 1 Reyersdorf. In jeder G.V.U.-Gemeinde kann künftig bei einem frei zugänglichen Fett-BehÖLter Altspeiseöl und-fett entsorgt werden.

Der Ablauf ist ganz einfach: Das Altspeiseöl zu Hause in leeren (Öl)-Plastikflaschen, Öl-Kanistern oder ähnlichen Behältern sammeln(bitte keine Glasflaschen verwenden!) und dann zum Fett-BehÖLter bringen und dort einwerfen.

Die Fett-BehÖLter sind speziell für die umweltfreundliche und hygienische Entsorgung von Altspeiseöl entwickelt worden. Durch die Einwurföffnung von 19 cm Durchmesser lassen sich Ölflaschen bequem über ein Fallrohr in den inneren Behälter einwerfen. Ein auslaufsicherer Boden schützt zuverlässig vor dem Austreten von Fetten und Ölen. Das gesammelte Altspeiseöl und-fett wird von der Firma Münzer zu hochwertigem Bio-Diesel verarbeitet. Mit der richtigen Entsorgung von Altspeiseöl und-fett trägt man aber nicht nur aktiv zum Umweltschutz bei, sondern man vermeidet auch kostspielige Reparaturen von Verstopfungen im häuslichen Abwassersystem und schont das eigene Haushaltsbudget.

NÖLI-Sammlung bleibt bestehen

Die bereits bestehende Altspeiseöl und-fett-Sammlung mittels3 Liter NÖLI-Kübel-Tausch in den Altstoffsammelzentren und im Wertstoffzentrum 1 Reyersdorf bleibt natürlich weiterhin bestehen.

Was darf rein:

Altspeiseöl &-fett
Butter
Schmalz
Margarine
verdorbenes Öl
abgelaufenes Öl
Öl aus eingelegten Lebensmitteln

Weitere Informationen: Informationsblatt | Link zu 'die NÖ Umweltverbände'


Baumkataster

Bäume der Gemeinde werden künftig in einem Verzeichnis verwaltet!

Anlassbezogen möchten wir Sie informieren, dass die Gemeinde bestrebt ist einen Baumkataster für alle Ortsgebiete umzusetzen. Ein Baumkataster ist ein Verzeichnis, in dem alle Bäume innerhalb der Ortsgebiete aufgenommen und verwaltet werden.
Eine anschließend jährliche Baumkontrolle durch einen qualifizierten Fachbetrieb hat als Ziel, fachlich fundamentierte Aussagen zur Stand- und Bruchsicherheit jedes einzelnen Baumes abzugeben.
Da die Gemeinde als „Baumeigentümer“ auf öffentlichem Grund einerseits für die Sicherheit (wozu z. B. die Verkehrs- und die Standsicherheit von Bäumen gehört) verantwortlich ist und anderseits immer wieder Rechtfertigungen ablegen muss, ist ein Baumkataster und die Zusammenarbeit mit einem qualifizierten Fachbetrieb zukünftig auch die notwendige Vorgehensweise, um der Aufgabe entsprechend nachkommen zu können.
Natürlich wird man seitens der Gemeinde auch weiterhin bestrebt sein, gefällte Bäume nach Möglichkeit wieder nachzusetzen und darüber hinaus immer wieder nicht genutzte Flächen zusätzlich aufzuforsten. 

Start des gemeinschaftlichen Projektes Baumkataster mit Bezug auf Klimawandel

Die Gemeinden Glinzendorf, Haringsee, Lassee, Mannsdorf/Donau und Untersiebenbrunn sind Teil der Region Marchfeld und legen großen Wert auf den Erhalt ihres Baumbestandes, deswegen startet das gemeinschaftliche Projekt Baumkataster mit Bezug auf Klimawandel.Durch die Erfassung der Bäume in einem Baumkataster und die darauffolgenden jährlichen Baumkontrollen durch die Fachfirma SV Prosenz & Novak setzen die Marchfelder Gemeinden auf die Gesundheit und Verkehrssicherheit ihrer Bäume.

© Region Marchfeld (v.l.n.r.): Dipl.-Ing. Andrea Haberkorn (Dorf- & Stadterneuerung), Dipl.-Ing. Roman Novak (SV Prosenz & Novak), Bgm. Untersiebenbrunn Dagmar Zier, Bgm. Glinzendorf Andreas Iser-Quirgst, BSc., Bgm. Haringsee Roman Sigmund, Vizebgm. Lassee Peter Gahleitner, Dipl.-Ing. Rafaela Obetzhauser (Kleinregionsmanagerin Region Marchfeld)

Bäume tragen nicht nur zur Verbesserung des Mikroklimas bei, sondern filtern auch Staub, Bakterien und Pilzsporen aus der Luft, liefern uns lebenswichtigen Sauerstoff und tragen zu unserem Wohlbefinden bei. Zudem sind sie wichtige Lebensräume und Futterquellen für unsere Tierwelt, daher sollte bei der Auswahl der Bäume auf Biodiversität (Artenvielfalt) geachtet werden. Die Identifizierung geeigneter Baumarten für die Region soll ein Teilergebnis des Projektes sein. Aufgrund des Klimawandels ist es besonders wichtig den Baumbestand zu erhalten und auf geeignete Pflanzen zu setzen. Die fachmännische Begutachtung soll zeitgerechtes Eingreifen zum Erhalt des Baumes ermöglichen. Das Projekt wurde von der Kleinregion Marchfeld beim Land NÖ, Fonds für Kleinregionen eingereicht. Durch die Zusammenarbeit könnten zeitliche und finanzielle Ressourcen gespart werden. Die Dorf- & Stadterneuerung begleitet und unterstützt den Prozess. 

Durch die Erfassung der Bäume in einem Baumkataster und die darauffolgenden jährlichen Baumkontrollen durch die Fachfirma SV Prosenz & Novak setzen die Marchfelder Gemeinden auf die Gesundheit und Verkehrssicherheit ihrer Bäume.

Bäume tragen nicht nur zur Verbesserung des Mikroklimas bei, sondern filtern auch Staub, Bakterien und Pilzsporen aus der Luft, liefern uns lebenswichtigen Sauerstoff und tragen zu unserem Wohlbefinden bei. Zudem sind sie wichtige Lebensräume und Futterquellen für unsere Tierwelt, daher sollte bei der Auswahl der Bäume auf Biodiversität (Artenvielfalt) geachtet werden. Die Identifizierung geeigneter Baumarten für die Region soll ein Teilergebnis des Projektes sein. Aufgrund des Klimawandels ist es besonders wichtig den Baumbestand zu erhalten und auf geeignete Pflanzen zu setzen. Die fachmännische Begutachtung soll zeitgerechtes Eingreifen zum Erhalt des Baumes ermöglichen. Das Projekt wurde von der Kleinregion Marchfeld beim Land NÖ, Fonds für Kleinregionen eingereicht. Durch die Zusammenarbeit könnten zeitliche und finanzielle Ressourcen gespart werden. Die Dorf- & Stadterneuerung begleitet und unterstützt den Prozess. 


Mobilitäts Gemeinde - Großgemeinde Haringsee nutzt Service des Regionalen Mobilitätsmanagements 

Damit eine NÖ Gemeinde den Anspruch auf eine umfassende Betreuung hat, muss sie sich per Beschluss als Mobilitätsgemeinde deklarieren.

Das Service der Regionalen Mobilitätsmanagements steht allen niederösterreichischen Gemeinden aufgrund der Finanzierung durch das Land Niederösterreich (inkl. EU-Kofinanzierung) kostenfrei zur Verfügung. Mit unserer Gemeinde gibt es nun bereits 108 Mobilitätsgemeinden im Weinviertel.

MULTIMODALITÄT IST DER SCHLÜSSEL
„Mobilität in ihrer Vielfalt sichern, zukunftsfähig gestalten und fördern“ – das bedeutet in Ballungsräumen etwas anderes als in ländlichen Gebieten. Das Regionale Mobilitätsmanagement der NÖ.Regional GmbH berät und betreut Gemeinden und Kleinregionen in allen Mobilitätsfragen und vernetzt sie mit Radland NÖ, mit den zuständigen Fachabteilungen im Land Niederösterreich, dem Verkehrsverbund Ost-Region (VOR), der ÖBB und anderen Partnerorganisationen.


Musikschule Orth / D
nahm am Jugendmusikwettbewerb "prima la musca" teil

"prima la musica" ist der bedeutendste Jugendmusikwettbewerb im deutschsprachigen Raum, er steht Kindern und Jugendlichen aus Österreich, Südtirol und Liechtenstein bis 21 Jahre offen.

Beim diesjährigen NÖ Landeswettbewerb traten rund 900 Nachwuchsmusiker und Musikerinnen in unterschiedlichen Altersgruppen solistisch oder im Ensemble vor einer Fachjury, um ihr Programm zu präsentieren und Feedback und Bewertung für ihre Leistungen zu erhalten.

Dabei begleiten engagierte Lehrkräfte ihre Schülerinnen und Schüler mit hoher fachlicher Kompetenz und persönlichem Einsatz auf ihrem musikalischen Bildungsweg, sie stärken deren persönliche Entwicklung, Kreativität, Disziplin, Fleiß und soziale Kompetenz – damit zählt "prima la musica" zu den wichtigsten Formaten im Bereich der künstlerischen Nachwuchsförderung!

Herzliche Gratulation allen Teilnehmerinnen und Teilnehmern zu den hervorragenden Bewertungen und ein großes DANKE an die Lehrkräfte für ihren Einsatz in der Vorbereitung!

Wagnes Anton, MS-Leiter

Weitere Informationen...

Unsere Musikschule Orth / D war diesmal mit 13 Teilnehmern und Teilnehmerinnen sowie tollen Ergebnissen vertreten:

BLECHLAWINE - "1. Preis mit Auszeichnung" - AGr. A, Kammermusik Blechbläser

Bild: Mag. Roland Haas - Ensembleleitung; David Gazso, Kornett; Annabelle Berger, Horn; Peter Butz, Kornett; Sebastian Jarmic, Bariton (v.l.n.r.)

ZATSCHKOWITSCH Emilie - "2. Preis" AGr. II, Klavier Solo

Bild: „Zatschkowitsch Emilie“

…Auftritt im großen Saal des Festspielhauses St. Pölten 

KLANGBANDE - "1. Preis" - AGr. B, Ensemble kreativ

Bild: vorne: Michael Pavlicek; Ilvy Wambach; Simon und Laura Würkner; Emil Unger – hinten: Mag. Monika Mistlbachner und Mag. Mag. Dijana Pavlovic – Leitung (v.l.n.r.) 

HAPPY TRILLILI - "1. Preis" - AGr. B, Kammermusik Blockflöte

Bild: Emilia John, Klavier; Mag. Birgit Kral - Leitung; Enie Levin und Mateo Koprivnjak, Blockflöte (v.l.n.r.)


Trinkwasserversorgung

September 2022

Zum Thema Trinkwasserversorgung darf ich mitteilen, dass eine genaue Flächenerhebung durchgeführt wird, um den Einheitssatz neu berechnen zu können.

Dieses Ergebnis, in einer dann hoffentlich stabileren Weltwirtschaftslage als die jetzige und einer hoffentlich überstandenen Energie-Teuerungswelle, ist aus meiner Sicht unumgänglich und unverzichtbar, um eine seriöse Kostenauskunft abzugeben. 

Anhand dieser Zahlen wird der Gemeinderat dann bei Bedarf die finanzielle Zusatzbelastung Einzelner prüfen und gegebenenfalls unterstützen.

Ihr Bürgermeister Roman Sigmund.

März 2026

Zum Thema der öffentlichen Trinkwasserleitung kann ich Ihnen berichten, dass seit Beginn des Jahres die Ausschreibungsunterlagen für die Bauarbeiten des Bauabschnitts (Haringsee) beim Ziviltechnikerbüro DI Steinbacher in Ausarbeitung sind und nach Fertigstellung in der Wiener Zeitung publiziert werden.

Ihr Bürgermeister Roman Sigmund.


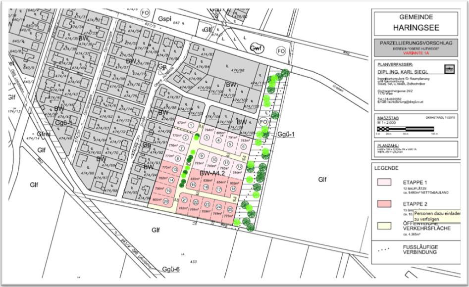
25 neue Bauplätze in Haringsee geplant

Haringsee wächst...
Wie auf dieser Grafik ersichtlich werden in Summe 25 neue Bauplätze für Einfamilienhäuser entstehen. Die Vergabe erfolgt nach den Aufschließungsarbeiten in 2 Etappen.

Die Beauftragung zur Ausarbeitung eines entsprechenden Straßenbauprojektes inklusive der kompletten Aufschließung wurde bereits erteilt.

Die Zufahrt zu den neugeschaffenen Bauplätzen wird südlich in das neue Siedlungsgebiet geführt.

Dieser Umstand soll gewährleisten, dass nach Fertigstellung der Straßenbauarbeiten in der Unteren Hutweide der Baumaschinenverkehr nicht durch das bereits bewohnte Siedlungsgebiet führt. Die Anrainer bzw. Bewohner der Unteren Hutweide wird Bgm. Roman Sigmund betreffend Straßengestaltungsmöglichkeiten zu einem Besprechungstermin gesondert einladen.


Die GG Haringsee ist Klimabündnis-Gemeinde!

Global denken, lokal handeln! „Jeder sollte in seinem Wirkungsbereich und im Rahmen der Machbarkeit, Klimaschutz-Maßnahmen andenken und auch umsetzen.

In und für unsere Gemeinde ist mir wichtig, dass nicht nur darüber geredet wird, sondern aktiv auch etwas dazu beigetragen. So wurden u.a. in den letzten 5 Jahren im gesamten Gemeindegebiet Aufforstungen durchgeführt, große Schutz- und Ruhezone für die Tier und Pflanzenwelt festgelegt und im vergangenen Jahr mit mehr als 20.000 neu gepflanzten Bäume das größte Klimaschutzprojekt abgeschlossen. Auch für die Zukunft gibt es bereits die nächsten Pläne um weitere Klimaschutz-Maßnahmen in unserer Gemeinde umzusetzen.“ erklärt Bgm. Roman Sigmund. „Denn wir tragen jetzt die Verantwortung für eine Umwelt welche von unseren Kindern nur geborgt ist!“ betont Bgm. Roman Sigmund.

Foto v.l.n.r.: Bgm Roman Sigmund, DI Petra Schön (Regionalstellenleitung NÖ)

Weitere wichtige Schritte in Richtung Klimaschutz

Bürgermeister Roman Sigmund und geschäftsführender Gemeinderat Ing. Bernd Neugschwendtner haben gemeinsam mit Ing. Leopold Schwarz von der Energie und Umweltagentur Niederösterreich in einem ersten Schritt die weiteren möglichen Maßnahmen für einen aktiven Klimaschutz in unserer Gemeinde evaluiert. Noch im heurigen Jahr sollen nach Möglichkeit echte Projekte aufgesetzt werden wo auch die Bevölkerung eingebunden werden kann.

Foto v.l.n.r.: Ing. Bernd Neugschwendtner
Bgm Roman Sigmund, Ing. Leopold Schwarz

Große Auszeichnung für die GG Haringsee am 12.11.2025 - Klimabündnis Jubiläumsgemeinde - zum Bericht...


MUSIKUNTERRICHT AB SEPTEMBER 2019 WIEDER IN DER VOLKSSCHULE HARINGSEE

Für alle Musikinteressierte, Absolventen der Bläserklassen der VS Haringsee, aber auch für Quer- und Neueinsteiger wird in Kooperation mit der Musikschule Orth/Donau ab der ersten Schulwoche im September 2019, ein Gruppen bzw. Einzelunterricht für Flöte, Klarinette/Saxophon und Blechinstrumente in der Volksschule Haringsee angeboten. Der Unterricht wird wöchentlich jeweils nachmittags stattfinden. Eine genau Einteilung ist nach Vorliegen der Unterrichtspläne möglich.

Bei Interesse ersuchen wir um Anmeldung über die Homepage der Musikschule Orth (https://musikschule-orth.at/anmeldung/) und um eine zusätzliche Information an den Musikverein Haringsee, Obmann Manfred Nagl (email: hoadgasse@aon.at; Tel: 0664 1542032).
Bei Fragen stehen Ihnen Herr Anton Wagnes, Direktor der Musikschule Orth/Donau unter Tel: 0660 6523621 und Obmann Manfred Nagl gerne zur Verfügung.


Babytreff

Liebe Mamis, liebe Papis, liebe Interessierte!

Jeden Dienstag findet in der Zeit von 09:30 bis 11:00 im Pfarrhof in Haringsee der Babytreff statt.

In entspannter Atmosphäre tauschen sich meist Mamis, natürlich sind auch Papis herzlich willkommen, über ihre Erfahrungen Mama zu sein oder zu werden aus, während die Kleinen miteinander spielen oder den schon etwas größeren Kindern begeistert zusehen.

Der Babytreff soll Kindern vom Säuglings- bis zum Kindergartenalter (2,5 Jahre) gleichermaßen wie Mamas und Papas die Möglichkeit geben, mit anderen Kindern und deren Eltern in Kontakt zu treten.

Kontakt: Stefanie Weinberger +43 (660) 15 67 787


Marchfeld mobil

Landesrat Ludwig Schleritzko gab Startschuss für „Marchfeld mobil“

Das regionale Anrufsammeltaxi „Marchfeld mobil“ startet ab April in 20 Gemeinden der Region Marchfeld. 50.000 Marchfelderinnen und Marchfelder profitieren vom neuen Mobilitätsangebot.

„‘Marchfeld mobil‘ ist eine wichtige Ergänzung zum bestehenden Mobilitätsangebot in der Region. Wir sorgen damit für einen Lückenschluss im Öffentlichen Verkehr in enger Abstimmung mit dem Bus- und Bahnverkehr in der Region. Deshalb unterstützt das Land Niederösterreich das Projekt mit 550.000 Euro in den ersten drei Betriebsjahren“, zeigte sich Schleritzko erfreut.
Angebote wie diese würden bei der Umsetzung eines zentralen Ziels der NÖ Mobilitätspolitik helfen, so der für Niederösterreichs Mobilität verantwortliche Landesrat: „Wir arbeiten an einer Mobilitätsgarantie für das ganze Bundesland. Dabei geht es um starke Hauptachsen im Bahnverkehr, ein routenreiches Busnetz und ein feines Netz an nachfrageorientierten Angeboten wie etwa Anrufsammeltaxis. Damit sollen zumindest das Zweit- oder Drittauto eingespart werden können.“ Dem neuen Angebot voraus gingen zwei Jahre intensiver Planungen, die unter anderem mit Mitteln der Europäischen Union gefördert wurden. „Wir haben es mit ‚Marchfeld mobil‘ geschafft, zwei bestehende Anrufsammeltaxis zeitgemäß weiterzuentwickeln und so eine regionsweite State-of-the-Art-Lösung zu erzielen“, freut sich Regionsobmann LAbg. Bgm. René Lobner.
Der Tarif orientiert sich nach den Vorgaben des Landes Niederösterreich am üblichen VOR-Tarif und einem Komfortzuschlag von € 2,00 tagsüber und € 4,00 ab 20.00 Uhr für das erhöhte Service. Innerhalb einer Gemeinde wird ein einheitlicher Tarif verrechnet. Auch VOR-Zeitkarten (Wochen-, Monats- bzw. Jahreskarten) werden anerkannt. 



Zu den Betriebszeiten täglich von 05:00 bis 24:00 Uhr können Fahrten zu ÖV-Haltestellen, zum Arzt, zum Nahversorger oder zu Freizeiteinrichtungen getätigt werden. Das neue Anrufsammeltaxi kann nicht nur mehr per Telefon, sondern auch mittels Handy-App oder am Computer bestellt werden. Ein weiterer Vorteil für die Fahrgäste ist die bargeldlose Zahlungsmöglichkeit mit der „mobilCard“-Kundenkarte.
In das Projekt Marchfeld mobil sind regionale Taxi- und Mietwagenunternehmen involviert. Gefahren wird von Sammelpunkt zu Sammelpunkt, wobei in der Region ein dichtes Netz von über 650
Sammelpunkten eingerichtet wurde. Auch wichtige Anknüpfungspunkte außerhalb der Region, wie zum Beispiel U-Bahn Stationen in Wien, das Ärztezentrum Hainburg und das Parkbad Schönkirchen-Reyersdorf, werden auf Wunsch angefahren.

Mehr Informationen siehe
der digitale Taxigutschein für mobilitäts-eingeschränkte Personen 


Gebrauchsabgabe

Laut NÖ Gebrauchsabgabegesetz ist für den Gebrauch von öffentlichem Grund eine Gebrauchsabgabe zu entrichten. Die Gebrauchsabgabe beträgt für die Lagerung von Baustoffen, Schutt, Lademulden und dergleichen auf öffentlichem Grund für mehr als 3 Tage € 30,- pro Monat.

Bitte melden Sie dies zeitgerecht am Gemeindeamt. 


Zuhause essen – ohne zu kochen - „ESSEN AUF RÄDERN“

Die Gemeinde Haringsee bietet allen Senioren, denen es bereits schwer fällt das Essen selbst zuzubereiten, „Essen auf Rädern“ an.

Das Essen wird von Montag bis Freitag täglich frisch gekocht, von uns abgeholt und an Sie, um ca. 11.00 Uhr, zugestellt.
Die Mahlzeiten bestehen aus Suppe und Hauptspeise.
Falls Sie Interesse haben, melden Sie sich bitte am Gemeindeamt.


Sperrmüll leicht entsorgen...

Sie haben kein geeignetes Fahrzeug, um Ihren Sperrmüll an den jeweiligen Samstagen zu entsorgen?
Kein Problem, melden Sie sich einfach am Gemeindeamt, wir helfen Ihnen gerne weiter. 

GVU Info - neue Regeln ab Jänner 2026

Ab Jänner 2026 keine Übernahme von Gipskarton- und Gipsfaserplatten

Die Österreichische Recyclinggips Verordnung ist Anfang 2025 per Gesetz in Kraft getreten ist, um die Kreislaufwirtschaft für Gips zu fördern. Sie verpflichtet zur getrennten Sammlung von Gipsabfällen wie Gipskartonoder Gips-Faserplatten, damit diese recycelt werden können. In Zusammenhang damit gilt ab 1. Jänner 2026 ein Deponierungsverbot für Gipsplatten. Gipsreste dürfen nicht mehr als Inertstoffe auf Deponien landen, sondern werden zu hochwertigem Recyclinggips verarbeitet.

Auf den Sammelzentren des GVU Bez. GF dürfen daher ab Jänner 2026 keine Gipskartonund Gipsfaserplatten mehr abgeben werden. Bitte kontaktieren Sie dazu einen der Entsorgungsbetriebe im Bezirk.

Keine Übernahme von betrieblichen Abfällen am Altstoffsammelzentrum / Wertstoffsammelzentrum

Die Altstoffsammelund Wertstoffzentren des GVU Bezirk Gänserndorf dienen der Sammlung und umweltgerechten Entsorgung von haushaltsähnlichen Abfällen aus privaten Haushalten. Sie bieten eine einfache Möglichkeit zur Abgabe von Altstoffen wie Sperrmüll, Altholz, Kartonagen, Elektroaltgeräten und Problemstoffen. Betriebliche Abfälle, egal ob von Gewerbe, Landwirtschaft oder Industrie, gehören jedoch nicht in den Zuständigkeitsbereich des GVU Bezirk Gänserndorf. Laut Abfallwirtschaftsgesetz (AWG 2002) sind Unternehmen selbst für die Entsorgung ihrer Abfälle verantwortlich.

Betriebliche Abfälle dürfen nicht übernommen werden 

Der Betrieb der Sammelzentren durch Abfallgebühren von Privathaushalten finanziert. Eine Annahme betrieblicher Abfälle würde private Gebührenzahler ungerechtfertigt belasten und die Anlagen überlasten.

Besondere Sicherheitsvorkehrungen

Betriebliche Abfälle weichen oft von der Art oder der Menge her erheblich von Haushaltsabfällen ab und erfordern spezielle Entsorgungswege. Viele dieser Abfälle enthalten gefährliche Stoffe, die besondere Sicherheitsvorkehrungen erfordern.

Betriebe müssen sich an private Entsorgungsfirmen wenden, die auf betriebliche Abfälle spezialisiert sind und ggfs. Entsorgungsnachweise ausstellen können. Die Trennung zwischen kommunaler und betrieblicher Abfallentsorgung ist notwendig, um Kostengerechtigkeit, gesetzeskonforme Behandlung und sichere Entsorgung von Abfällen zu gewährleisten.

!-- meine Tabelle neu sortieren. Datum (0) = absteigend -->